公聽會簡報檔案 | 下載

實施者:至億建設股份有限公司
規劃單位:奇模工程有限公司
設計單位:李浩原建築師事務所
政府部門諮詢:
  新北市都市更新處
  聯絡電話:(02)29506206
  聯絡地址:新北市板橋區漢生東路266號
  網站: http://www.uro.ntpc.gov.tw/web/Home

事業計畫說明

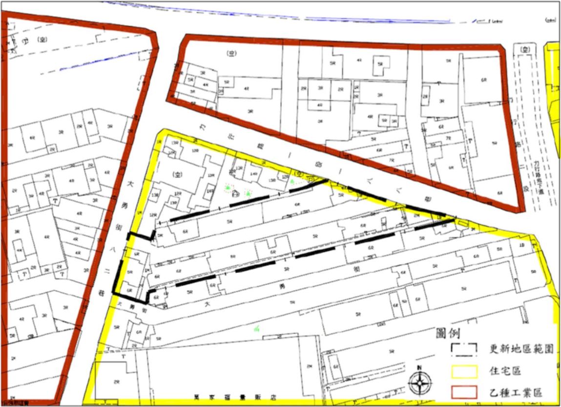
申請範圍

大勇街以北
大勇街82巷以東
力行路一段188巷以西

實施者

至億建設股份有限公司

現況分析

土地地籍及權屬

三重區永德段965、965-3、968-1及980-3地號等4筆土地,依土地謄本登載面積共計5,691m2 。
980-3地號為新北市政府(工務局管有);968-1地號為中華民國(財政部國有財產署管有)。

土地權屬(管理機關)

土地面積(㎡)

比例(%)

人數(人)

比例(%)

公有土地

國有地

5.00

0.09

1

0.63

縣(市)有地

629.00

11.05

1

0.63

鄉(鎮市區)有地

0

0

0

0

私有土地

5,057.00

88.86

156

98.74

合計

5,691.00

100

158

100

合法建築物權屬

三重區永德段5013等155筆建號,建物樓地板面積總計17,312.10 ㎡,均為私有。
現況為2幢樓高5層樓之集合住宅。
範圍內建物(三重區大勇街82巷7、9、11、13及大勇街82巷15弄1-24、26、28、30 號各附2-5樓)業經新北市政府工務局103年12月18日(北工建字第1032353879號)確 認為高氯離子建築物,建物內部鋼筋裸露、磁磚剝落。

土地使用說明範圍

土地使用分區
住宅區
建蔽率為50%
容積率為300%

更新單元內
多為住宅使用
為老舊窳陋建築地區

土地使用說明範圍

周邊500公尺範圍內的公共設施1 處學校用地(三重商工)
公園用地則有福田公園、永豐公 園及仙台公園等3處,皆已開闢

附近地區交通現況

交通系統
主要道路:力行路二段(路寬22m)、西側大勇街82巷(路寬12m);次要道路:力行路一段188巷(12M)
大眾運輸系統:公車行駛路線以力行路沿線有232正、815、F303等公車路線經過,西側大勇街82 巷有F303公車路線經過

計畫目標

促進土地合理利用並復甦都市機能

消除現有建物低層密集之不良使用,促進土地經濟合理之有效利用,發揮原都市 計畫定位之應有的都市機能。
沿街面留設人行步道,提供大眾便利舒適的便利環境,降低建築物量體之壓迫感, 並增加空地及植栽綠化,以增加空間視覺美感。擬提供適當之設施,增進居住休 憩之活動空間。

改善居住環境品質

更新重建降低構造之安全問題,以新的設計手法進行規劃設計,以符合現行防火、 耐震等安全需求,創造健康舒適之居住環境可避免居住的危險性。
更新後依建築法規設置停車空間,以紓解基地附近之停車問題,間接促進道路發 揮其功能。
拆除舊有建築物,配合更新住戶之空間需求進行規劃重建,以符合現況居住需要。

改善市容觀瞻

新的建築取代原有的老舊建築物,規劃符合地區特色建築物,調合都市景觀,改 善市容觀瞻。 的都市機能。
加強綠地及開放空間,落實植栽計畫,創造綠化的都市環境。

細部計畫及其圖說

本更新單元位於新北市政府民國80年11月公告實施之「變更三重都市計 畫(第一次通盤檢討)計畫」範圍內。
依據「變更三重都市計畫(第一次通盤檢討)計畫」(80.11.11)規定,屬第 一種住宅區建蔽率50%,容積率300%。東

重建區段之土地使用計畫

規劃建築面積:2,276.40㎡
規劃建蔽率:2,276.40/5,691×100%=40%<50%
規劃容積:37,158.73㎡
規劃容積率:653.17%
實設汽車停車位:法定停車位502位+自設停車位12輛=514輛
實設機車位:502輛
自設自行車位:126輛

容積獎勵試算

申請容積獎勵項目

獎勵面積

基準容積比率

備註

一、都更建築容積獎勵

-

-

-

1.提供社區使用之公益設施

281.37

1.65%

不計入容積

2.協助開闢周邊公設或捐更新基金

-

-

-

3.保存維護具歷史性、紀念性及藝術價值之建築

-

-

-

4.更新單元整體規劃設計

-

-

-

A1:設計建蔽率

512.19

3%

-

A2:立體綠化

-

-

-

A3:公共停車或轉運需求

-

-

-

A4:夜間照明且採省電節能

-

-

-

A5:淨寬及消防救災可及化

-

-

-

A6:開挖率

-

-

-

A7:四公尺以上通道

-

-

-

5.配合都市發展需要極大面積開放空間、人行步道及騎樓

1,901.00

11.13%

-

6.綠建築設計

1,024.38

6%

-

7.更新時程獎勵

1,707.30

10%

-

8.更新單元規模之獎勵

-

-

-

A1:完整計畫街廓

-

-

-

A2:三千平方公尺以上

2,560.95

15%

-

A3:建物總投影面積及更新單元規模

-

-

-

9.安置舊違章戶

-

-

-

10.居住面積不及當地水準獎勵

-

-

-

11.建物主體造型創新、重大事變損壞、屬合法四層樓以上之建築物及配合大眾捷運系統或水岸提供或設置適當之天橋(空橋)…供大眾使用者

1,490.10

8.73%

-

小計(不含公益設施,取上限值50%)

8,536.50

50%

-

容積移轉

6,829.20

40%

-

高氯離子

4,465.28

26.15%

-

申請容積獎勵總計(不含公益設施)

19,830.98

116.15%

依「新北市都市更新建築容積獎勵核算基準」申請,確實數據以屆時新北市政府核准之內容為準。

處理方式

實施方式:

依都市更新條例第二十五條之一,部分以協議合建方式,部分採權利變換方式實施。

區段劃分

未來更新事業處理方式將採「重建」方式,故本都市更新單元範圍全部劃分為重建區段。

事業計畫說明

規劃設計

本案更新後規劃興建3棟,地上24層、地下6層之鋼筋混凝土造集合住宅大樓,總計502戶,地下1 至6 層為防空避難室兼停車空間;1 層規劃為店舖、社區公益設施、管委會等使用;地上2 至24 層皆規劃為住宅使用,並規劃汽車車位共502輛。

規劃現有巷道廢止或改道計畫

本案更新單元範圍內大勇街82巷15弄為私設既成巷道,目前現況已開闢供通行使用,擬配合更新事業申請辦理巷道廢止計畫,屬第二項第一款,巷道全部位於同一都市更新事業計畫範圍內,依地形圖量測面積約為370.34㎡。
更詳細資料請下載 公聽會簡報檔案